
转眼2021年已经翻篇,我们迎来了2022年,新年新气象,房地产市场也将迎来崭新的篇章。展望2022,普宁有哪些项目值得我们期待呢?还有哪些“楼市关键词”需要我们注意的呢?一睹为快!
2022年值得期待的新盘

大林三旧改造项目

该项目位于普宁市流沙东街道大林社区(楼盘详情户型图相册地图)东至龙溪路、西至平安里(楼盘详情户型图相册地图)12米路、南至小区规划14米道路、北至北环大道,即:寨内片旧房屋、兴东片旧房屋、兴平片旧房屋及旧高平房屋、兴西片旧房屋及旧楼房,包括集体未建设空地、大林小学旧楼房、大林社区办公楼旧楼房,占地总面积约156.85亩。2020年12月,该规划获得市政府批复,将打造成公共设施齐全,布局完整的居住小区。

2021年7月,大林社区“三旧”改造项目补偿安置签约仪式在大林社区“三旧”改造项目办公室举行。村民对大林社区“三旧”改造项目的顺利推进感到由衷高兴,期望项目早日建成,成为一道提升城市品质、改善人居环境的靓丽风景。

本改造项目的实施,对提高土地节约集约利用水平,完善城市功能及公共配套设施,美化市容市貌,改善群众生活环境,提升城市品位,促进城市更新,具有积极的社会效益和经济意义。


瑞和园住宅小区项目

2020年9月,普宁市金盘科技有限公司瑞和园建设工程设计方案对外公示,地块为住宅、住宅兼容居住小区房屋设施用地,规划设计7栋31层高层住宅,规划为环境优美、设施配套、便于统一设施和管理的现代化小区。

2020年10月,瑞和园住宅小区建设项目正式备案通过,总投资7亿元,由普宁市金盘科技有限公司建设,总建筑面积125819.65平方米,主要建设7幢31层住宅楼及配套面积93446.21平方米;地下停车场2层31278.58平方米以及架空层1094.86平方米。

润泰花园

该项目位于下架山镇水供塘村(普宁大道南侧),由普宁市松雁实业投资有限公司建设,地块旁的道路已铺上水泥,方便出行,也为项目启动做好准备。

2021年3月,普宁市松雁实业投资有限公司润泰花园建设工程设计方案对外公示,占地62.53亩,将建设12幢7层至31层商住楼,住宅套数1136套!

竹蔗精厂

该项目位于流沙新河西路,占地约30亩,据悉为普宁市金盘科技有限公司地块。


该地块位于普宁大道与揭神路交汇处,距离高铁站仅3公里。涵盖27栋高端住宅、2栋公寓、1栋商业中心、1个幼儿园、1个小学,另外还有1栋安置住宅、1个专业市场等项目。

其中包括6栋32层住宅,21栋27层住宅,1栋27层公寓,1栋32层公寓,1栋6层商业中心,1栋3层12班幼儿园,1栋5层小学。

据普宁市2021年度土地征收成片开发方案(公示草案)显示,枧头寮项目或将于2023年开发建设,不过还是可以期待一下的,说不定会有意外惊喜呢!
广达片区旧房改造项目

2021年4月初,普宁市翔栩房地产开发有限公司有意对广达片区(东至广达北路、西至启德幼儿园西侧道路、南至流沙大道、北至华悦商务宾馆北侧道路)的旧房进行改造,并向广大业主征求意见,据悉已有90%以上的业主同意改造。

据可靠消息,美佳乐商圈将进行升级改造,届时将迎来一个全新的综合体。

青洲家具厂旧厂房改造项目

2021年1月,普宁市池尾(楼盘详情户型图相册地图)青洲家具厂旧厂房片区改造单元规划进行规划(草案)对外公示,该项目规划区域总面积32.9亩,将通过合理规划,促进城市业态转换,完善城市功能,改善人居环境,推动城市扩容提质。2021年4月,普宁市池尾青洲家具厂“三旧”改造单元通过评审。

赤岗镇双枝山省道237线北侧片区

2021年8月,《赤岗镇双枝山省道237线北侧片区控制性详细规划》获得普宁市人民政府批复。规划占地面积56.4亩,规划人口为2880人,900户,将打造成布局完整,公共设施配套齐全,环境较好的社会主义新农村示范商住小区。

占陇镇交丙坛A-01地块旧区改造项目

2021年5月,占陇镇交丙坛A-01地块旧区改造单元规划获市政府批复并对外公示,规划面积126.22亩,将打造成公共设施齐全,布局完整,环境较好的商住小区,并配建有公园、幼儿园、肉菜市场、卫生站等。

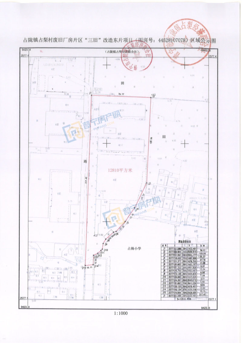
占陇镇占梨村废旧厂房片区“三旧”改造项目

2021年9月,普宁市占陇镇占梨经济联合社和谐家园项目“三旧”改造方案对外公示,将对占梨村废旧厂房东片19.215亩用地实施“三旧”改造。拟投入改造资金为22673.7万元,计划分二期开发。改造后,土地使用用途作为居住用地,建筑密度≤40%、容积率≤5.9、绿地率≥20%、建筑高度≤90米,计划2024年6月竣工交付。

金泰雅苑

该项目位于普宁市流沙西街道普宁市下架山镇蛟池村(普宁大道南侧),总投资7120万元,由普宁市金泰房地产开发有限公司建设,占地约13.6亩,备案已通过,将是下架山镇首个70年国有产权楼盘。
2022年楼市关键词
01
土地供应量

根据2018年7月份普宁市国土资源局发布的《普宁市住宅用地供应2018-2022年中期规划表》显示,2022年计划供应住宅用地约677亩!

然而,我们回看2021年,2021年计划供应住宅用地约700亩,实际成交总面积仅有一半。大家都知道,2020年普宁迎来唐商集团和中骏集团的入驻,2021年又迎来方直集团和龙光集团的进驻,不断为普宁楼市注入新鲜的血液。那么在接下来的2022年,又将迎来哪些大咖的青睐呢?2022年能否如愿完成供地计划并把2021年欠的数据补上,让我们拭目以待。
02
金融政策
从2021年3月份开始,北京、广州、上海等一线城市放出了严查首付款来源的“狠招”。审查之严格史无前例,无形之中提高了个人贷款的难度。目的就是抑制房价过度上涨,打击炒房行为,稳定楼市。
而对于开发商而言,真正致命的是来自银行对于地产资金的收紧,在三道红线和一系列调控政策的重压下,房企经历了至暗时刻。在近半年的时间里,房地产雷声不断,“活下去”的口号成为许多开发商的共同目标。

那么在2022年,房地产金融政策会放松吗?
在上个月初举办的中央经济工作会议中,中央第5次提及房住不炒这个概念,可见未来房地产的主基调依旧如此。同时,在信贷方面,刚需购房者也会迎来利好。之前央行宣布降准,释放1.2万亿资金,虽然这些资金不会全部进入楼市,却能极大减轻刚需购房者的信贷压力。
无论未来怎么走,2022年的楼市情况都会大概率好过2021年。毕竟,现在信贷适当放开,融资也得到满足,房企的至暗时刻至少也不会比现在更暗了。至于2022年的楼市走向,中央经济工作会议也挑明了——“稳”字当头,稳中求进。在维稳的前提下,楼市大放水不再,未来将是刚需的时代!
03
旧改政策
土拍不够,旧改来凑。在土地供应不足的情况下,“三旧改造”逐渐代替“土拍”成为土地供应的主要方式,这也是缓解房价上涨压力的有效途径。
然而在2021年8月,住房和城乡建设部发布了关于在实施城市更新行动中防止大拆大建问题的通知。该文件一出,便有很多人在问普宁的旧改会不会按下暂停键?
在2020年的政府工作报告中,曾提到要持续推进三旧改造,打造新坛三旧改造连片开发示范点,改造4个以上城镇老旧小区,打造美好宜居的景观风貌。在普宁十四五规划中,也提到了计划对普宁市市区白沙陇、新坛、新安、南园、赤水、赵厝寮、南山、华市、上寮(楼盘详情户型图相册地图)等城中村、老旧小区进行全面改造提质。

小编也整理了近几年普宁的旧改项目,可以看出“旧改”在普宁的城市发展规划中担任着重要角色。在2022年,如果旧改政策相对较松的情况下,可能会出现很多新的项目,否则将会无限期延后,大家静观其变吧。
04
今年的GDP能达到多少?

小编整理了自1993年撤县设市以来的GDP总值,1993年全市的GDP总值为29.83亿元,1997年全市GDP突破100亿元,2008年突破200亿元,从2011年开始实现突飞猛进的增长,到2018年GDP已突破700亿元,随后由于疫情的影响到2020年全市GDP仅有613.58亿元,为1993年的20倍。而2021年上半年GDP为315亿,全年GDP有望突破630亿,那么接下来的2022年GDP又将达到多少呢?让我们拭目以待。
05
城市综合体
在2021年的政府工作报告中曾提到,谋划在大南山枧头寮和流沙东上塘片区引进城市综合体项目。

大南山枧头寮

流沙东上塘片区
去年4月的时候,大南山枧头寮综合体项目的效果图已抢先曝光,成为大家备受关注的项目,至今并未启动,那么在接下来的2022年又会怎样发展呢?敬请期待!


06
新的经济增长点

近日,揭阳市人民政府发布了《揭阳市商务发展“十四五”规划》,提出将推动普宁新城区、内衣基地、跨境电商园区等高质量发展。普宁东部创新城将打造集产业集聚、现代服务、交通集散、现代居住于一体的普宁新城区,进一步加大普宁内衣基地的培育力度,鼓励普宁规划建设跨境电商园区,大力培育跨境电子商务主体,做大做强跨境电商的市场规模和国际竞争力。
总结
关于2022年的发展方向,其实这是一个开放性的问题,在前不久普宁市举办的领导干部党章党规党纪教育培训班提出了“普宁发展六问”,这六问是普宁之思、普宁之问,是思想之问,时代之问,是发展之问,人民之问,也是使命之问,良心之问。
一问普宁过去多年靠什么曾经辉煌成功过,又因为什么衰落、凋零?
二问普宁再出发有什么经验可以总结,有哪些精神需要继续弘扬,有哪些教训需要吸取?
三问普宁再出发的基础和优势有哪些,短板和不足是什么?
四问普宁再出发的现实发展方位、未来发展方向、实现途径是什么?
五问普宁是谁的普宁,谁是普宁人?
六问我们这些在普宁学习、工作、生活的普宁人能为今天的普宁做些什么,为未来普宁留下什么?