昨日,普宁市城市管理局对普宁市流沙城北鱼肉菜市场和流沙玉华鱼肉菜市场改扩建工程规划许可进行了公示。

流沙城北鱼肉菜市场卫星图
↓↓↓

流沙玉华鱼肉菜市场卫星图
↓↓↓

普宁市流沙城北鱼肉菜市场

▲建设工程规划许可公示
据公示而知,普宁市城北鱼肉菜市场改扩建工程由普宁市市场物业管理局开发建设,该项目位于南华路北侧、南平路东侧,建筑占地面积为666.6平方米,将新建1幢2层市场(首层为市场,二层为管理办公用房),建筑面积1185平方米。

▲首层总平面图
该图规划总用地面积5200平方米(7.8亩),市场总建筑面积3635平方米,其中,改造建筑面积2450平方米,新建建筑面积1185平方米,停车场建筑面积1408平方米,公厕、垃圾点建筑面积111平方米。其次,规划设置固定摊位142个,分别为熟食摊位11个,猪肉摊位10个,肉丸位10个,面果摊位16个,青菜摊位41个,水果位8个,腌制摊位10个,水产摊位29个,光禽摊位8个,还规划设置临时摊位21个。
☟☟☟






普宁市流沙玉华鱼肉菜市场

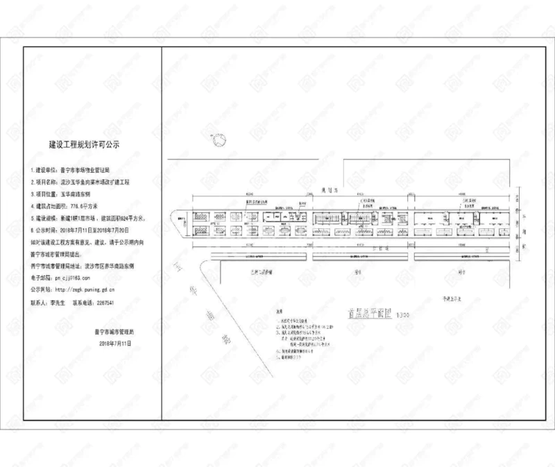
▲建设工程规划许可公示
据悉,流沙玉华鱼肉菜市场改扩建工程由普宁市市场物业管理局开发建设,项目位于玉华南路东侧,其建筑占地面积为776.6平方米,将新建1幢1层市场,建筑面积624平方米。

▲首层总平面图
该图规划总用地面积4150平方米(6.2亩),规划总建筑面积为1644平方米,其中,改造建筑面积1020平方米,新建一层建筑面积624平方米。其次,将规划设置固定摊位84个,临时摊位23个。
普宁房产网实拍菜市场图片
☟☟☟





这两个鱼肉菜市场的改造升级,将极大地改善周边群众的生活条件。而增设的停车区域,将有效解决市民买菜时交通遇堵的问题。期待早日投入使用!
来源:普宁市城市管理局